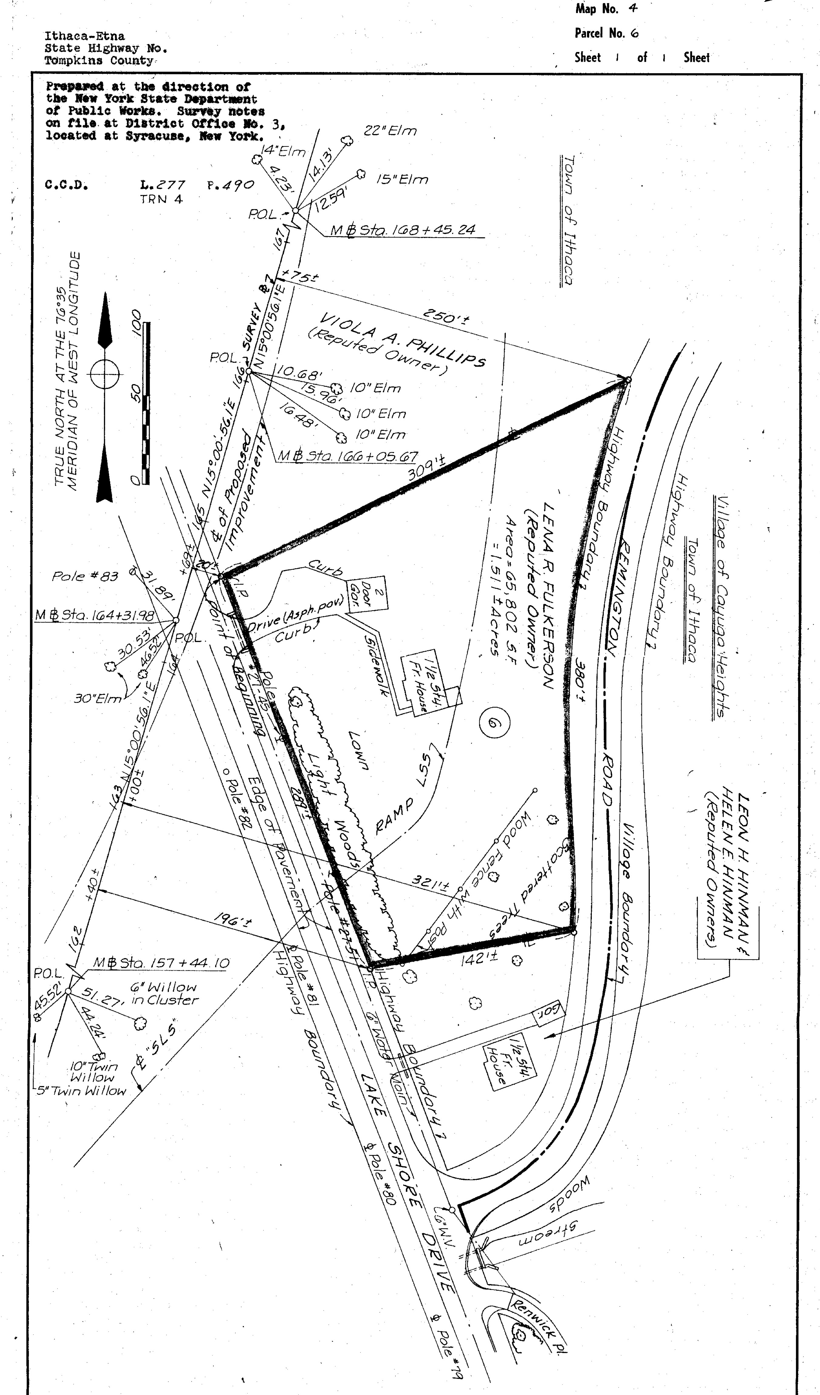
10/25/1961

1961 Survey map of 805 East Shore Dr, presented north up, was prepared for appropriation of the property by New York State for the Ithaca-Etna State Highway Project, using a legal process sometimes called "eminent domain." This road became State Route NY 13. Note: Previous routing of NY 13 through Ithaca is described at https://en.wikipedia.org/wiki/New_York_State_Route_13#Routing_through_Ithaca ]

The map is part of a document in the Tompkins County Clerk's Office, available online as Instrument "Backloaded 1042438" of type APPROPRIATION MAP, recorded 10/25/1961.

Buildings

805 East Shore Dr Ithaca (as of 1953)X2 Lake Rd Ithaca