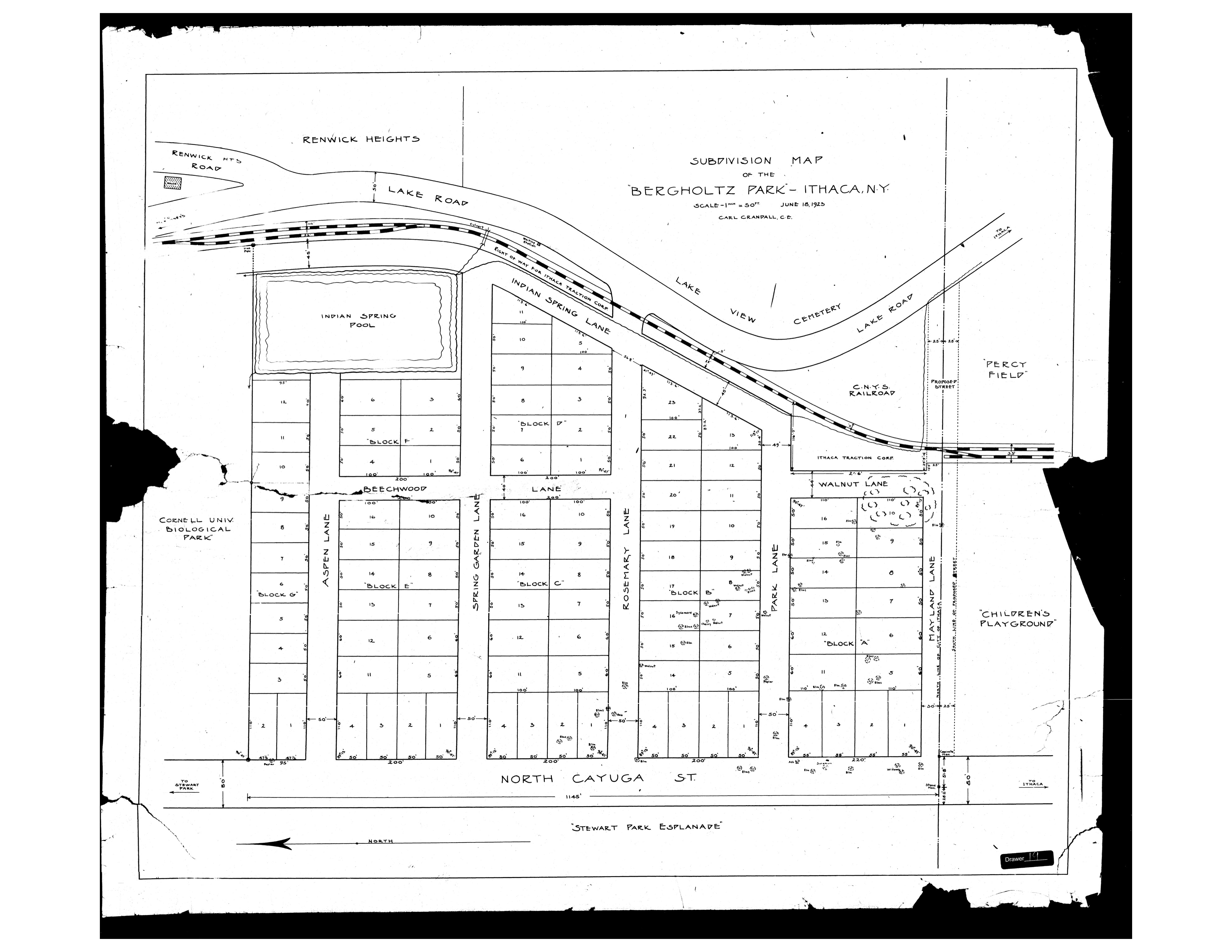
June 18, 1923

Subdivision Map of the BERGHOLTZ PARK - Ithaca, NY. By Carl Crandall, C.E. June 18, 1923. Very few of the lots were purchased and built on. All were eventually acquired by the Ithaca City School District and any houses demolished by around 1982. Four that were occupied are: 121 Rosemary Ln {Lot 23 of Block B}; 109 Rosemary Ln {Lots 16 & 17 of Block B}; 106 Rosemary Ln {Lots 5 & 6 of Block C}; and 1505 North Cayuga St {Lots 3 & 4 of Block C}.

Map available from the Tompkins County Clerks Office Online Service as [BF018646-001 recorded 6/18/1923]. At https://countyfusion3.kofiletech.us/countyweb/loginDisplay.action?countyname=Tompkins log in as guest, and search by Instrument (Document) Number BF018646-001.

Buildings

1505 N Cayuga St Ithaca

121 Rosemary Ln Ithaca (as of 1953)1 Rosemary Ln Ithaca

109 Rosemary Ln Ithaca

106 Rosemary Ln Ithaca