July 25, 1988

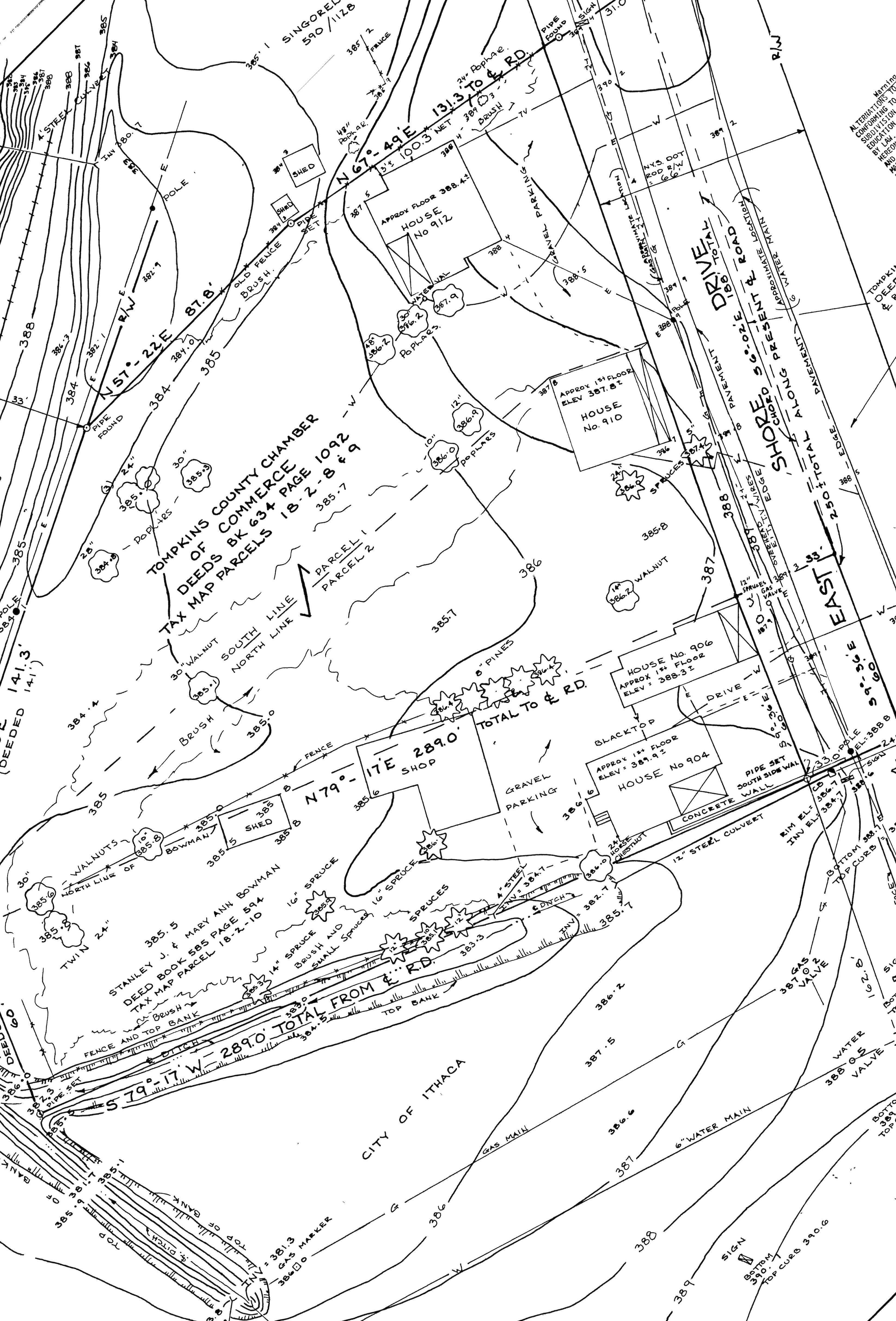
Extract of Map BF017995-001 (recorded 7/25/1988) identifying houses to be demolished before construction of new Tompkins County Chamber of Commerce building. Shown north up. TITLE: Boundary & Topographic Map No. 904-910-912 East Shore Drive. Also shows 906. Full map available at Tompkins County Clerk Office Online Service. [https://countyfusion3.kofiletech.us/countyweb/loginDisplay.action?countyname=Tompkins]

Full map available at Tompkins County Clerk Office Online Service as Instrument/Document BF017995-001. [https://countyfusion3.kofiletech.us/countyweb/loginDisplay.action?countyname=Tompkins]

Buildings

910 East Shore Dr Ithaca (as of 1953)XX2 Lake Rd Ithaca

904 East Shore Dr Ithaca (as of 1953)XX3 Lake Rd Ithaca