June 26, 1948, revised Feb 11, 1952

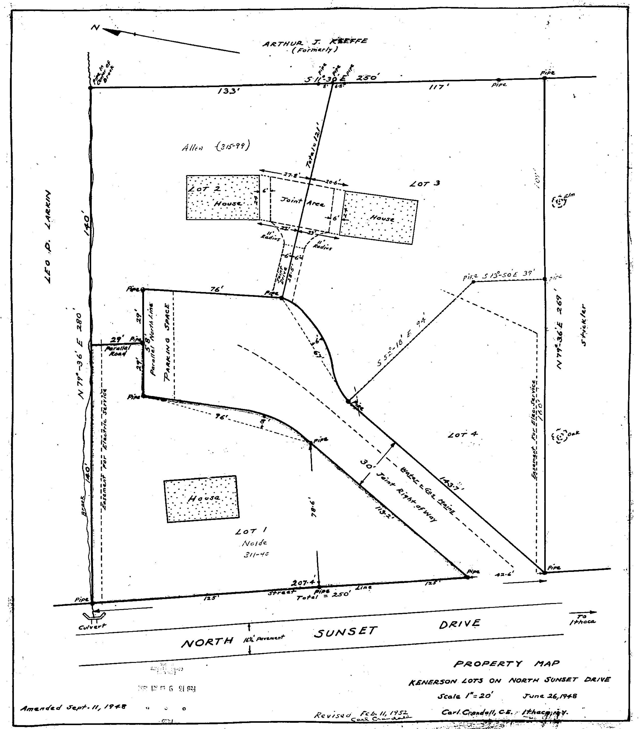
Kenerson lots on North Sunset Drive, Survey by Carl Crandall, CE. June 26, 1948, Revised Feb 11, 1952. When built, house number 112 was used for all four lots.

Four lots with shared driveway. In 1950, Address was 112 North Sunset Drive. In 2025: Lot 1 is 131 North Sunset Dr with Tax ID 7.-3-18; Lot 2 is 129 North Sunset Dr with Tax ID 7.-3-17; Lot 3 is 127 North Sunset Dr with Tax ID 7.-3-16; Lot 4 is 125 North Sunset Dr with Tax ID 7.-3-15.

The map is available by logging in as Guest and searching for Document/Instrument BF024355-001 at Tompkins County Clerk Online Service. [https://countyfusion3.kofiletech.us/countyweb/loginDisplay.action?countyname=Tompkins]

Buildings

131 N Sunset Dr Ithaca (as of 1953)112A N Sunset Dr Ithaca

112B N Sunset Dr Ithaca129 N Sunset Dr Ithaca (as of 1953)

125 N Sunset Dr Ithaca (as of 1953)112D N Sunset Dr Ithaca

127 N Sunset Dr Ithaca (as of 1953)112C N Sunset Dr Ithaca